Casa de 3 Amb. a Reciclar Lote de 300 M2 - NECOCHEA 563 - RAMOS MEJIA
Código 1151-p189 | USD 280000 | Necochea 563 (CP 1704) | Ver detalles
Contacto con Eduardo Santisi Negocios Inmobiliarios
Comuníquese telefónicamente:
Envíenos una consulta por la propiedad 1151-p189
Ingrese los campos requeridos marcados con *
Código 1151-p189 | USD 280000
Descripción
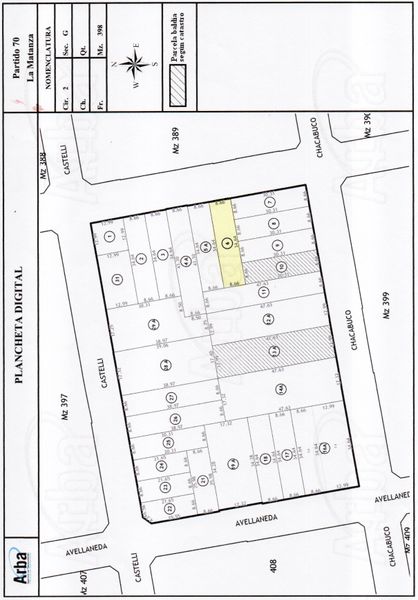
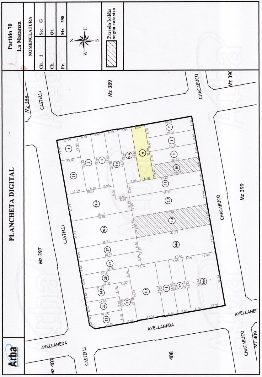
Casa a Reciclar en Lote de 300 M2 (8,66 x 34,64 mts) en EspectacularZona De Ramos Mejía. A 1 Cuadra de Av. de Mayo entre Castelli yChacabuco a 5 cuadras de la estación. Tomaría Depto en Zona como Partede Pago..SE ESCUCHAN PROPUESTAS..
Descripción
|
Detalles
|
Medidas
|
|
